Brasted
Brasted station or Halt as it was known in later days was a small station, situated in the Kent countryside, having been opened on the Westerham branch line on 7th July 1881. The line had originally received Parliamentary approval on 24th July 1876, and was built under the auspices of the nominally independent ‘’Westerham Valley Company’’ (WVC). Leaving the Tonbridge Line at Dunton Green, the branch was single-track from the outset, comprising just two stations: Westerham and Brasted. The SER’s influence during the construction programme was evident, for the buildings erected at these sites conformed to the company’s ‘’economical’’ policy, which endeavoured to produce new station structures at a ‘’modest’’ cost.
Brasted Station was equipped to handle both passenger and goods traffic, featuring a ticket office alongside a parcels office. These facilities underscored the station’s dual role in supporting everyday travel and the transport of local goods, crucial for the rural economy at the time. The station’s design and operation captured the practical spirit of late 19th-century rural railway expansion, balancing utility with frugality.
Though small in scale, Brasted Station served as a vital rural connection for residents and businesses, embodying the broader narrative of railway development in the Kent countryside. Its legacy offers a glimpse into the era’s railway strategies and community needs, reminding us of the enduring impact of even the humblest of stations in Britain’s rich transport history.
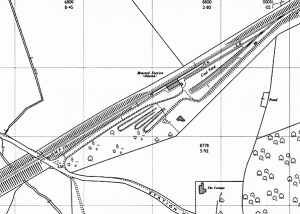
The layout at Brasted was a single-track was served by one platform face, the latter of which was positioned south of the line. No passing loop was provided here, and was worked by a single line token system. To proceed along the branch, the driver had to be in possession of a token, supplied by the signal box at Dunton Green. locomotive run-a-rounds, took place at Westerham, The station building at Brasted was identical to that at Westerham, except for a slightly reduced width: 70-foot in length, it was a single-storey building, built upon a wooden frame, with a slated pitched roof. A platform canopy ran the length of the structure. The Station Master was accommodated in a house, just south of the station building, which still exists as a private house.
The Station also had a goods yard which comprised of three sidings, which were mainly used for coal traffic. A former LB&SCR wooden van body served as a store and office for the Coal merchant up to closure. Entry & exit to the Sidings was controlled by a ground frame.
Sadly the last remains of the Goods yard have been destroyed in 2025, following a Gypsy encampment that has been set up. This is still subject to a planning appeal.
Very little of the Station survives today except for some SR fencing. The building was demolished in 1978. The M25 runs very close to the site but not on the original track bed.

Brasted Station site as it appeared in 2009 just to the left of the photo is the M25
This view would have been just before the station.









